ANNAPOLIS VALLEY AREA FARMLAND
GOSPEL ROAD, ANNAPOLIS VALLEY, NOVA SCOTIA
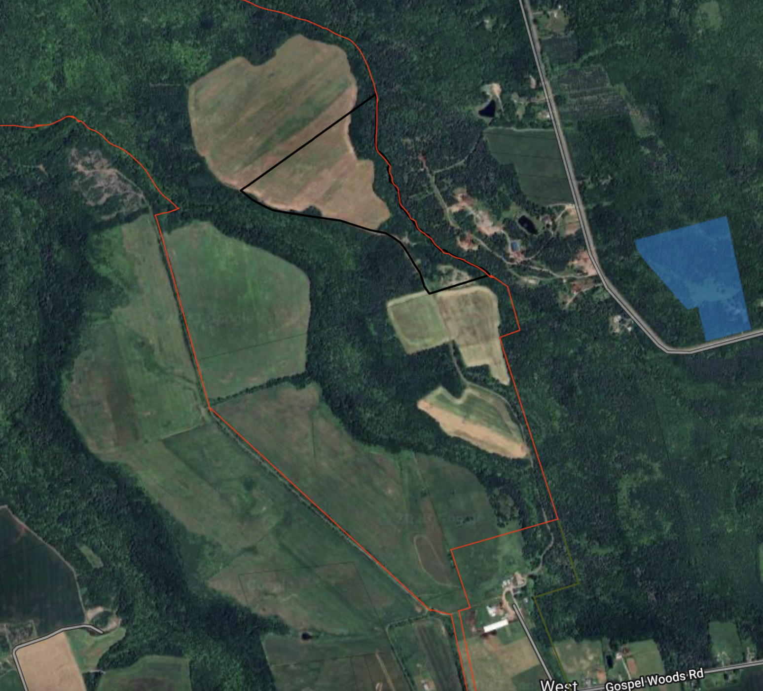
$1,900,000 | 451 ACRES
LISTING DESCRIPTION
Check out this 451 acre ocean view block of land located in West Glenmont, Nova Scotia, in the Annapolis Valley Region. This Farm Consists of 231 acres of cleared land and 220 acres of woodland. A bonus is that a lot of the woodland could be cleared for more arable acres. This land has been regeneratively farmed since 2018, incorporating cattle which they supply to their two shops in Halifax. Having not used fertilizers since 2016 the farm serves as a great start to either continue in similiar fashion or switch to conventional farming. The owner also rents/leases 243 cultivated + 115 acres grassland for their operation in the area. This farm is located approximately 20 minutes from Wolfville which is home to Acadia University as well as New Minas which is the shopping center for the valley. Large acreages in the Annapolis Valley area don't come along very often. This is also an ideal property for the growing tourism industry in the area which includes Halls Harbour Lobster Pound and the new SaltAir Nordic Spa in Canning, NS.
 
                         
                  
                    
                 
                  
                    
                 
                  
                    
                 
                  
                    
                 
                  
                    
                 
                  
                    
                 
                  
                    
                 
            
              
            
            
          
              